Appartamento in Vendita
Coazze - Centro
Codice: 2200
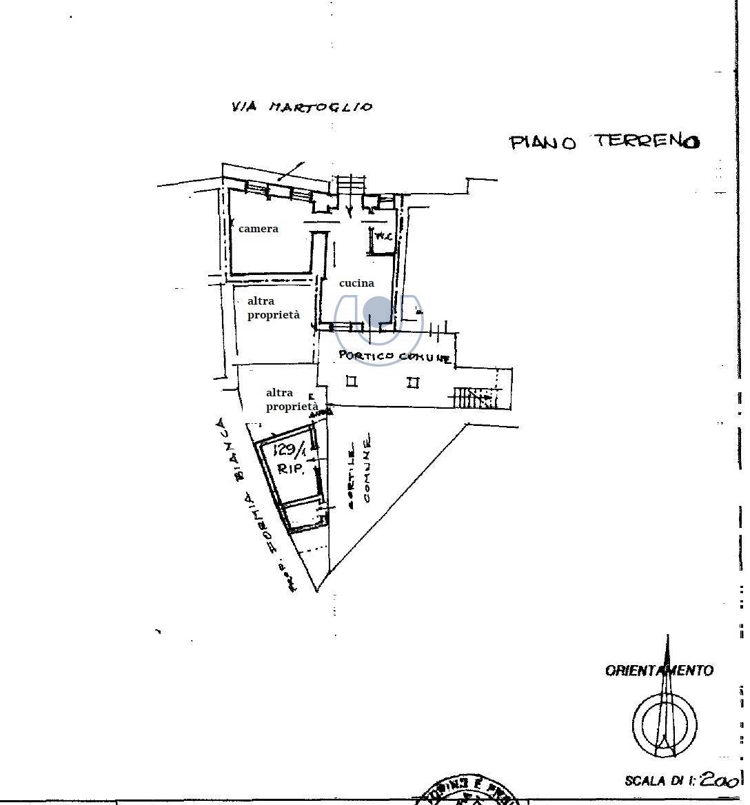
Alloggio al piano terreno in corte a Coazze
In caratteristica casa di corte, proponiamo Appartamento al piano terreno composto da:
- ingresso su soggiorno con angolo cottura,
- una camera da letto,
- bagno.
- porticato,
- piccolo locale di sgombero indipendente,
- locale caldaia
- giardino recintato poco distante, ideale per momenti di relax all'aperto.
Contesto tranquillo, a pochi passi dai servizi principali.
Ottima soluzione come prima casa o come punto d'appoggio per chi cerca relax in montagna.
€ 39.000
Classe energetica
G
EP glnr: 367.00 kwh/m²
Informazioni immobile
Codice 2200
Contratto Vendita
Tipologia Appartamento
Regione Piemonte
Provincia Torino
Comune Coazze
Zona Centro
Prezzo € 39.000
Totale mq 45 mq
Camere 1
Bagni 1
Locali 2
Stato conservazione Buono
Piano Piano terra
Piani totali 2
Riscaldamento Autonomo
Infissi legno doppio vetro
Età costruzione 1900
Disponibile Si
Terrazzo Presente
Giardino Privato
Cucina Angolo Cottura
Caratteristiche
Infissi in legno
Nelle vicinanze
Scuole Elementari
Scuole Medie
Bar
Uffici postali
Uffici comunali
Virtual tour immobile
Ubicazione immobile






















